Projektbeschreibung
Projekt zur Errichtung eines Betriebsgebäudes in Meran, 2012
Projekt
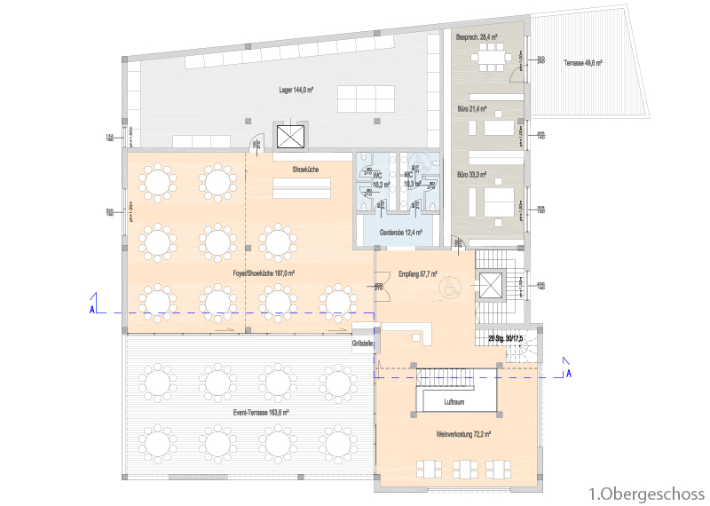
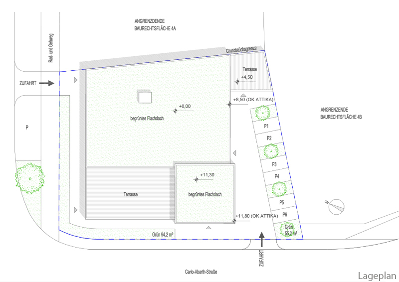
Das Grundstück wird, wie im Durchführungsplan definiert, über zwei Zufahrten erschlossen. Somit ist die An- und Ablieferung unabhängig vom Zugang zum Geschäft möglich. Im Erdgeschoss, im westlichen Gebäudeteil, sind der Lager- und Produktionsbereich des Unternehmens mit An- und Ablieferung geplant. Daneben ist, nach Westen hin, der zweigeschossige Verkaufsbereich mit separatem Eingang und Treppe ins Obergeschoss geplant. Der Eingang für die Mitarbeiter ist an der Südseite des Gebäudes vorgesehen. Hier befindet sich auch das Treppenhaus mit Aufzugsanlage zur allgemeinen Erschließung des ersten Obergeschosses.
Zur Herstellung der eigenen Produkte werden eine Küche, mehrere Kühlzellen, ein Büro, die notwendigen Nebenräume und ein Lager geplant. Die notwendigen hygienischen Vorschriften – Schleusen – sind mit dem Amt für Lebensmittelkontrollen abgesprochen.
Wie vom Gesetz vorgesehen kann in einer Gewerbezone über 5000 m² ein Detailhandel im Ausmaß von einer Fläche mit max. 50 m² genehmigt werden. Gut erschlossen und gut einsichtig wird im Südteil der zweigeschossige Verkaufsbereich geplant. Das Obergeschoß bietet genügend Flächen für private Veranstaltungen.
Der Großteil der Flächen im ersten Obergeschoss ist Präsentations-, Verwaltungs- und Eventbereich mit großer Terrasse. Daneben sind weitere Lagerflächen vorgesehen.
Das Gebäude soll auch eine Dienstwohnung beherbergen: ein offener Wohn- und Essbereich, zwei Zimmer, Bad, WC und eine auf der privaten Garage begrünte Terrasse.














